Санкт-Петербург,

Поиск недвижимости

Аренда помещения под склад

Аренда помещения под склад — г. Колпино, ул. Севастьянова, Санкт-Петербург

Цена аренды

500 руб. / 9 $ / 7 € / 7 £

Контакты:

"1000 складов"

тел.: показать телефон

объект № 13 586 247

Район
Колпинский район
Метро, ориентир
м. Звездная

Площадь
240,00 м²
Этаж
не указан/не указано
Телефония
есть

Здание

Всего этажей
не указано
Водоснабжение
есть
Электроснабжение
есть
Отопление
есть
Канализация
есть

Дополнительная информация


Код объекта: 19628 Колпинский район, г. Колпино, ул. Севастьянова, м. Звёздная
Аренда ремонтной мастерской для грузовых автомобилей 240 м² в Колпино
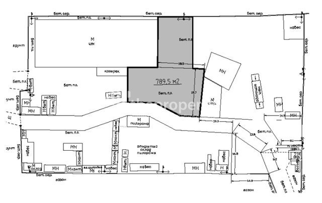
Сдается в аренду ремонтная мастерская для грузовых автомобилей в Колпино. Просторное и функциональное помещение под ремзону, площадь помещения составляет 240 м² (12×20 м) с высотой потолков 7 метров, что обеспечивает комфортную работу с крупногабаритной техникой. В наличии кран-балка грузоподъемностью 3,2 тонны, две ремонтные ямы и двое грузовых ворот для удобного заезда фур. Прилегающий земельный участок площадью 789,5 м² имеет бетонное покрытие и может использоваться для стоянки или маневрирования техники. Электрическая мощность объекта – 30 КВт с возможностью увеличения. Территория освещена, охраняется и доступна для въезда круглосуточно. Удобная транспортная доступность: всего 5 минут до железнодорожной станции Колпино. Арендная ставка: ремонтный бокс с кран-балкой: 156 000 руб./мес (650 руб./м²), земельный участок: 78 950 руб./мес (100 руб./м²).
Цена 234 950 руб. в месяц (без НДС)
Консультант Андрей Салимов
П50

Контактная информация

"1000 складов"

тел.: показать телефон

компания: "1000 складов"

Фотографии объекта

Другие объекты этого собственника

Другие объекты этого собственника

Санкт-Петербург, ул. Ново-Никитинская

Санкт-Петербург, ул. Ново-Никитинская

Санкт-Петербург, ул. Ново-Никитинская

Аренда помещения под склад, 1 500,00 м²

850 руб. м² в месяц

Санкт-Петербург, ул. Ново-Никитинская

Санкт-Петербург, ул. Ново-Никитинская

Санкт-Петербург, ул. Ново-Никитинская

Аренда помещения под склад, 1 500,00 м²

850 руб. м² в месяц

Санкт-Петербург, ул. Краснопутиловская

Санкт-Петербург, ул. Краснопутиловская

Санкт-Петербург, ул. Краснопутиловская

Аренда помещения под склад, 1 000,00 м²

1 000 руб. м² в месяц

Санкт-Петербург, пер. Уманский

Санкт-Петербург, пер. Уманский

Санкт-Петербург, пер. Уманский

Аренда помещения под склад, 1 433,00 м²

950 руб. м² в месяц

Санкт-Петербург, ?Средний В.О. проспект

Санкт-Петербург, ?Средний В.О. проспект

Санкт-Петербург, ?Средний В.О. проспект

Аренда помещения под склад, 12,00 м²

1 250 руб. м² в месяц

Санкт-Петербург, Салова ул.

Санкт-Петербург, Салова ул.

Санкт-Петербург, Салова ул.

Аренда помещения под склад, 1 000,00 м²

950 руб. м² в месяц

пос. Петро-Славянка, ул. Софийская

пос. Петро-Славянка, ул. Софийская

пос. Петро-Славянка, ул. Софийская

Аренда помещения под склад, 700,00 м²

1 000 руб. м² в месяц

пос. Петро-Славянка, ул. Софийская

пос. Петро-Славянка, ул. Софийская

пос. Петро-Славянка, ул. Софийская

Аренда помещения под склад, 2 100,00 м²

1 000 руб. м² в месяц

пос. Петро-Славянка, ул. Софийская

пос. Петро-Славянка, ул. Софийская

пос. Петро-Славянка, ул. Софийская

Аренда помещения под склад, 1 400,00 м²

1 000 руб. м² в месяц

г. Красное Село, ш. Пушкинское

г. Красное Село, ш. Пушкинское

г. Красное Село, ш. Пушкинское

Аренда помещения под склад, 250,00 м²

580 руб. м² в месяц